Rustico in vendita

Piansano, Localita' Valle Perino
€ 70.000
2 locali 2 locali
85 Mq 85 Mq
1 bagno 1 bagno

Rustico in vendita

Piansano, Localita' Valle Perino

Descrizione annuncio

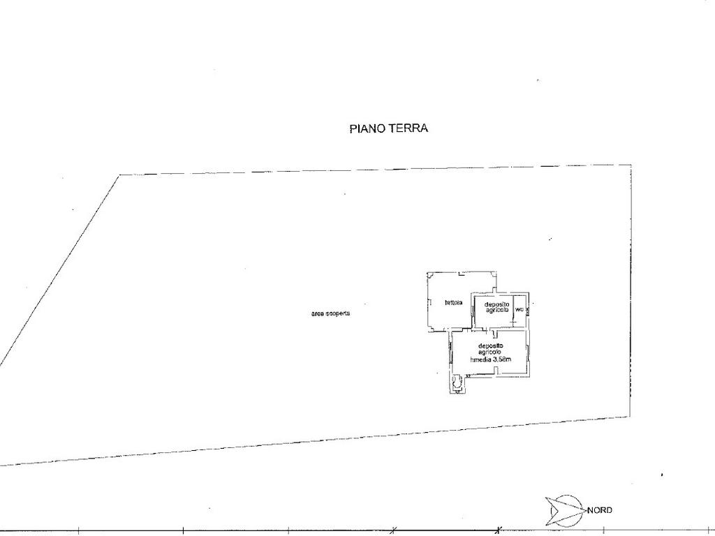
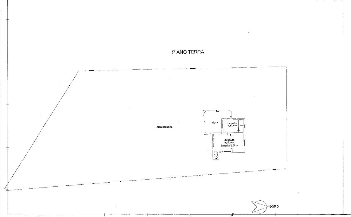
Piansano - A soli 10 Km da Tuscania e 8 minuti dal suggestivo Lago di Bolsena, si trova un delizioso rustico in vendita. Questa proprietà, accatastata come C/2 (Magazzino), offre un'accogliente superficie di 45 mq, perfetta per chi cerca un rifugio tranquillo. L'immobile, completamente ripulito e ristrutturato nel 2025, si sviluppa al piano terra e comprende 3 locali ben distribuiti. La cucina ed il soggiorno luminoso sono dotati di un forno e un camino, ideali per serate conviviali. La camera matrimoniale è accompagnata da un bagno privato en suite che garantisce comfort e privacy. All'esterno, un portico di 25 mq e un gazebo offrono spazi ideali per il relax all'aperto. Il parco recintato di 1.700 mq, con piante d'alto fusto ed un piccolo deposito attrezzi, completano la proprietà, rendendola perfetta per chi ama la natura e la tranquillità. Un'opportunità unica per vivere in un contesto sereno e autentico.

Mostra tutto

Nelle vicinanze

Scuole Scuole
Scuole
1,9 Km
Bar Bar
Bar
1,6 Km
Mostra tutto

Caratteristiche

Rif.:
61190364
Piano:
Basso di 1
Totale piani:
1
Camere da letto:
1
Arredamento:
Completo
Condizionamento:
Assente
Mostra tutto
Prezzo Prezzo
€ 70.000
Rata mutuo Rata mutuo
€ 330 / mese
Spese annue Spese annue
€ 0
Proponi il tuo prezzoProponi il tuo prezzo

Classe Energetica

Questo immobile è esente da classe energetica
Anno di costruzione:
1967
Riscaldamento:
Autonomo
Tipo impianto:
A stufa
Tipo alimentazione:
Altro

Ti interessa visionare l'immobile?

Fissa un appuntamento  Fissa un appuntamento

Richiedi informazioni

Clicca su Leggi per aprire l'informativa
* Questi campi sono obbligatori

Calcola il tuo mutuo

Semplice e senza impegno
Anticipo

( % )
Mutuo

( % )

pochi semplici passi

inserisci i tuoi dati
Questionario completato
Grazie per aver richiesto un appuntamento senza impegno con un nostro Consulente del Credito e Assicurativo.

Hai inserito correttamente tutti i dati necessari e a breve riceverai una e-mail con un link da convalidare per inviare i tuoi dati.
Affiliato
Tnt Immobiliare Srl
Via Roma, 33/35 01017 Tuscania (VT)

Il nostro staff


  • Nunzio Bussi
    Affiliato

  • Marica Liberati
    Collaboratrice

  • Giordano Lippi
    Responsabile

  • Emanuela Livi
    Collaboratrice

  • Margaret Muratore
    Collaboratrice

  • Claudia Aritzu
    Coordinatrice
Via Roma, 33/35 01017 Tuscania (VT)
Zona: Tuscania- Piansano - Arlena di Castro - Canino - Cellere
Mostra su mappa
Orari: Orario Invernale. Dal martedì al venerdì 09.00 - 13.00 - 15.30 - 19.30; sabato 09.00 - 13.00 - 15.30 - 18.30. Domenica e Lunedi chiuso.
Affiliato
Tnt Immobiliare Srl
Via Roma, 33/35 01017 Tuscania (VT)

2026 Tecnocasa Franchising S.p.A. - P. IVA 08365160152 - Via Monte Bianco 60/A 20089 Rozzano (MI). Ogni agenzia ha un proprio titolare ed è autonoma. Privacy policy | Policy utilizzo | Cookie policy